Toggle navigation
Advanced Search
Appeals
Recent
Planning ยป Application Details
Summary
Further Information
Important Dates
Appeals
0
Neighbours
4
Consultees
0
Documents
5
Print
Back
Map
There is currently no map information for this application.
Summary
Application Reference Number
2016/1145
Description
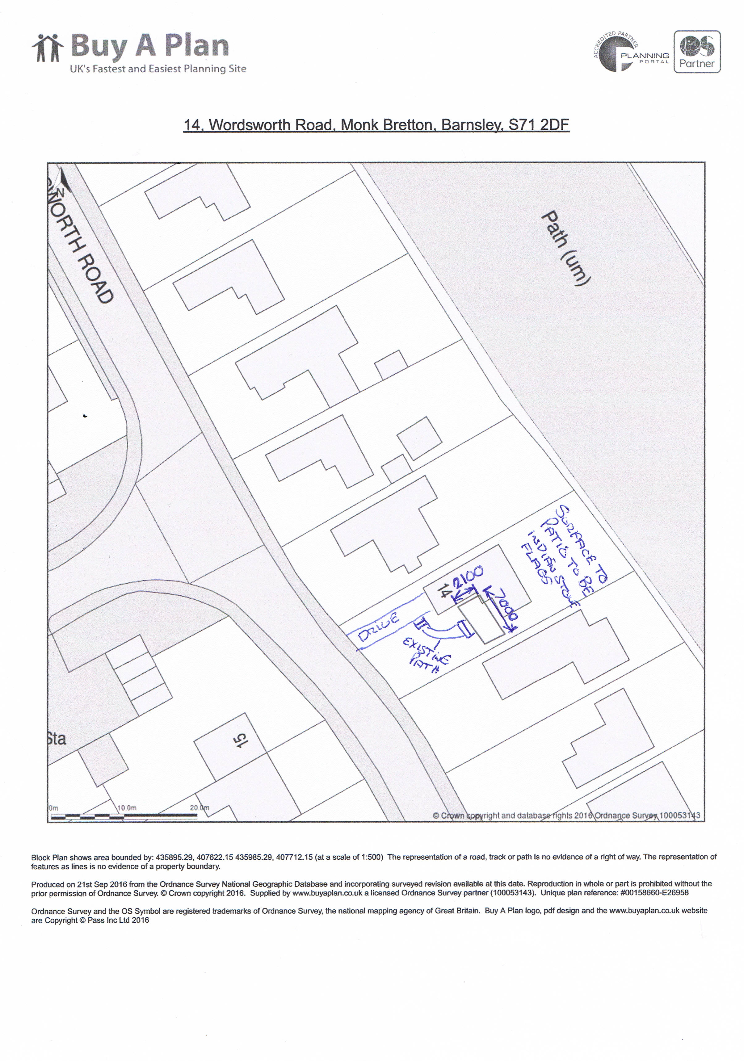
Raised front patio area (Retrospective)
Site Address
14 Wordsworth Road, Monk Bretton, Barnsley, S71 2DF
Received Date
13 September 2016
Valid From
21 September 2016
Decision
Approve with Conditions
Status
Final Decision
Further Information
Applicant Name
Mr Philip Crowley
Applicant Address
95 Rotherham Road Monk Bretton Barnsley S71 2NP
Parish
None
Ward
Central Ward, Monk Bretton
Application Type
Full
Determination Level
Delegated
Agent Name
NA
Case Officer Name
Richard Gilbert
Case Officer Telephone
01226 772595
Case Officer Email
developmentmanagement@barnsley.gov.uk
Environmental Assessment Required
No
Important Dates
Received Date
13 September 2016
Valid From
21 September 2016
Consultation Expiry Date
19 October 2016
Target Decision Date
16 November 2016
Extended Target Decision Date
16 December 2016
Decision Date
9 December 2016
Neighbours Notified
Address
12 Wordsworth Road, Monk Bretton, Barnsley, S71 2DF
13 Wordsworth Road, Monk Bretton, Barnsley, S71 2DF
15 Wordsworth Road, Monk Bretton, Barnsley, S71 2DF
16 Wordsworth Road, Monk Bretton, Barnsley, S71 2DF
Consultee Details
There are no consultees involved in this application.
Documents
Please note these documents are for viewing only. Attempting to save a copy or copies may infringe on copyright laws.
Application form
ApplicationFormNoPersonalData.pdf ( 0.18 MB )
Decision Notice
20161145 Decision Notice.pdf ( 0.07 MB )
Photograph
IMG_1153.JPG ( 3.03 MB )
Plans
2016_1145 Plan 2.jpg ( 0.86 MB )
2016_1145 Site Plan.pdf ( 0.44 MB )
Summary
Further Information
Important Dates
Appeals
0
Neighbours
4
Consultees
0
Documents
5
GoTo Top
Print
Back