Planning ยป Application Details
Application Reference Number 2020/0957
Description Erection of 2 no single storey front extensions
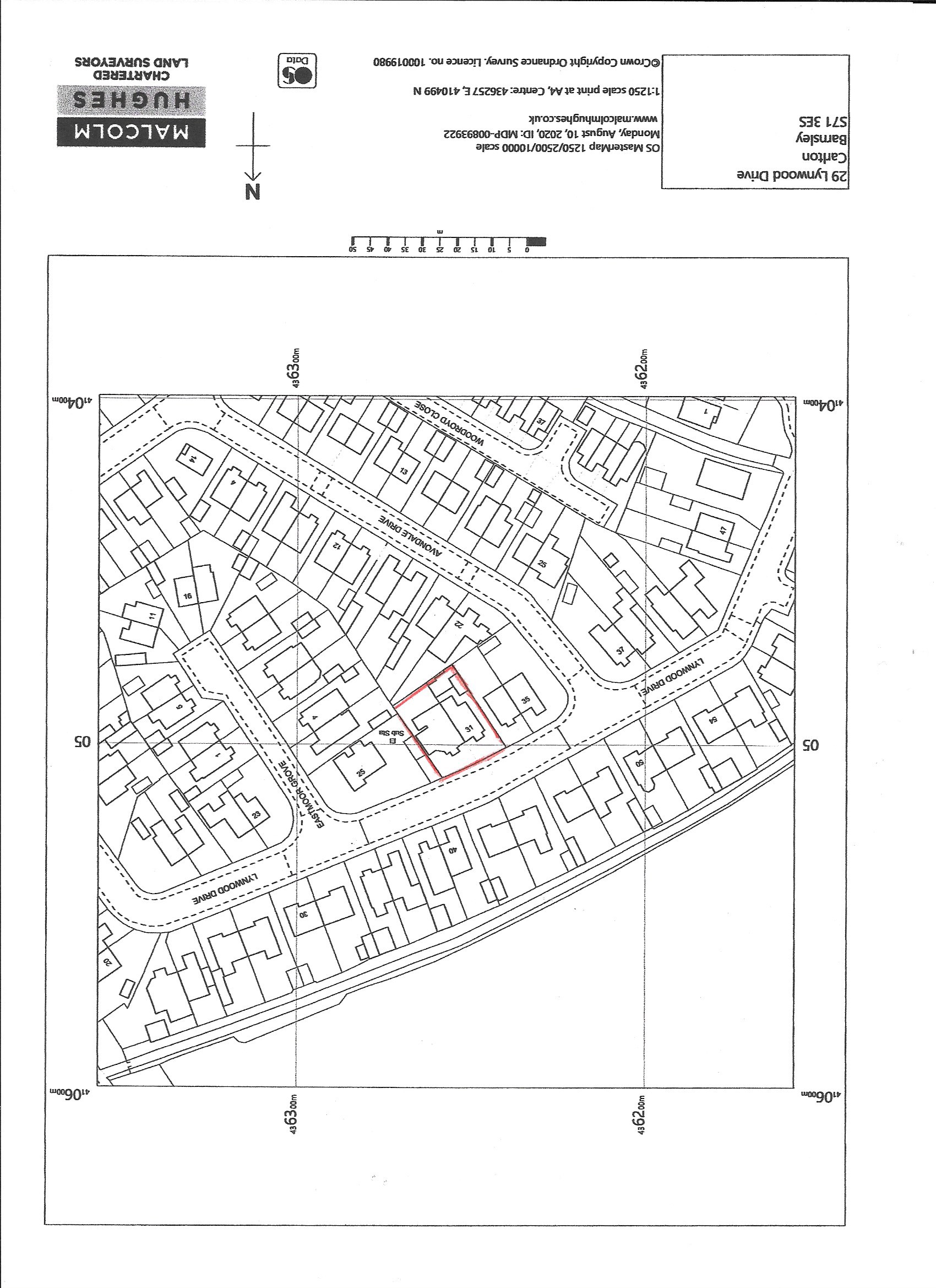
Site Address 29 - 31 Lynwood Drive, Carlton, Barnsley, S71 3ES
Received Date 14 August 2020
Valid From 1 September 2020
Decision Approve with Conditions
Status Final Decision
Applicant Name David Edwards Brown
Applicant Address c/o Agent
Parish None
Ward Royston Ward
Application Type Householder
Determination Level Delegated
Agent Name Ian Williams
Case Officer Name Robert Tollyfield
Case Officer Telephone 01226 772595
Case Officer Email developmentmanagement@barnsley.gov.uk
Environmental Assessment Required No
Received Date 14 August 2020
Valid From 1 September 2020
Consultation Expiry Date Not yet determined
Target Decision Date 27 October 2020
Extended Target Decision Date Not yet determined
Decision Date 22 October 2020
Address
2 Eastmoor Grove, Carlton, Barnsley, S71 3HN
22 Avondale Drive, Carlton, Barnsley, S71 3EN
25 Lynwood Drive, Carlton, Barnsley, S71 3ES
33 Lynwood Drive, Carlton, Barnsley, S71 3ES
38 Lynwood Drive, Carlton, Barnsley, S71 3ES
40 Lynwood Drive, Carlton, Barnsley, S71 3ES
42 Lynwood Drive, Carlton, Barnsley, S71 3ES
44 Lynwood Drive, Carlton, Barnsley, S71 3ES
46 Lynwood Drive, Carlton, Barnsley, S71 3ES
48 Lynwood Drive, Carlton, Barnsley, S71 3ES
There are no consultees involved in this application.
Please note these documents are for viewing only. Attempting to save a copy or copies may infringe on copyright laws.